Dublin Core
Title
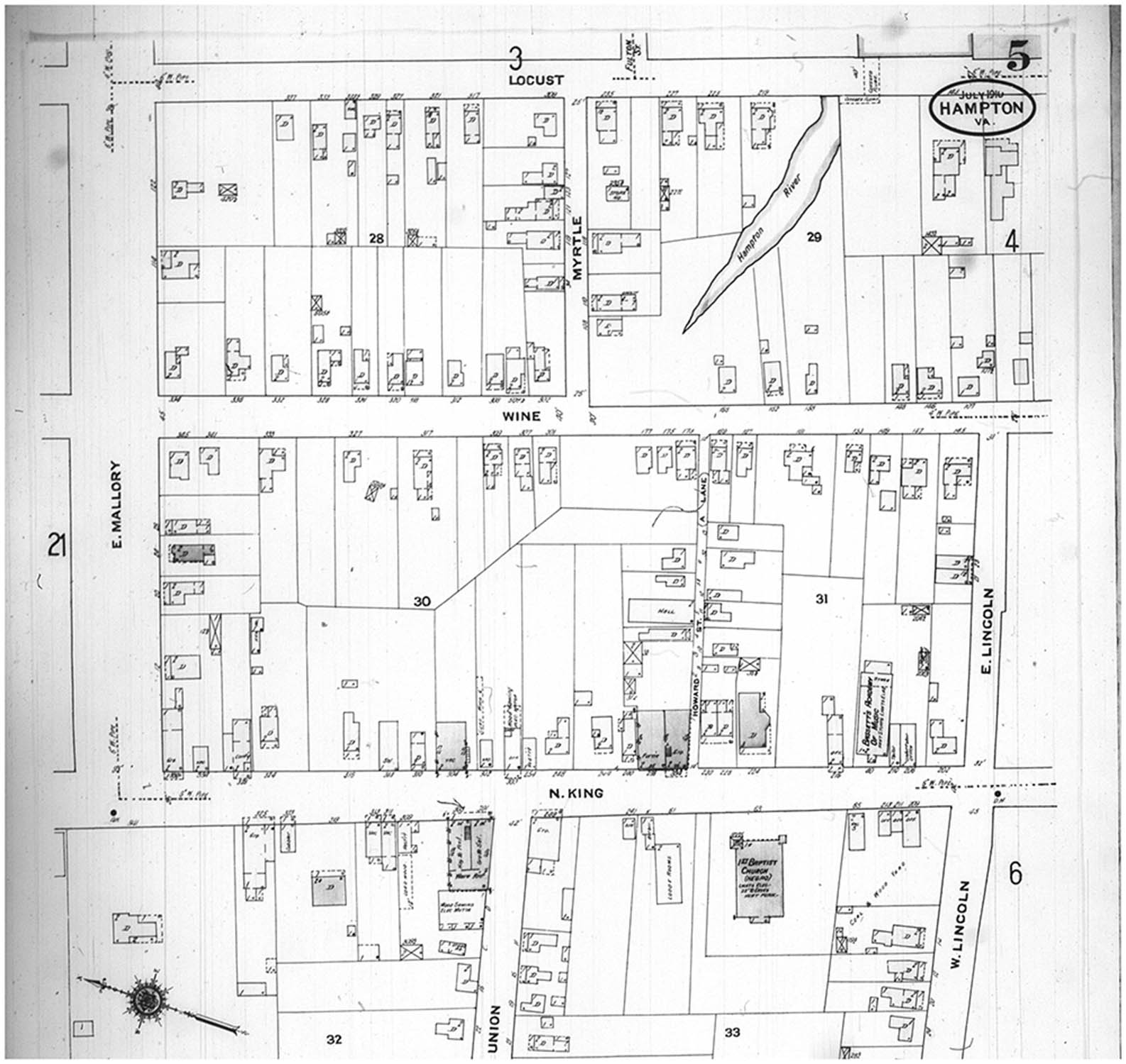
Sanborn Fire Insurance Map of Hampton, Virginia, Sheet 5, July 1910
Creator
Sanborn Map Company.
Source
Sanborn Fire Insurance Maps from the Library of Congress, Hampton, July 1910, Title Page (microfilm), Reel 6.
Date
7/10/1916
Format
JPG
Identifier
1910_Sanborn_Hampton_Sheet 5
