Browse Items (377 total)

http://ingest.virginiamemory.com/ingest/forsaken/1910_Sanborn_Hampton_Main Page_enlargement_.jpg
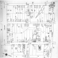
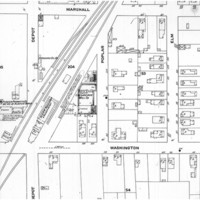
This image shows the areas of Hampton where most of the events of Forsaken taken place: C&O Railroad Station, Ida Belote's home at 809 Washington Street, Virginia Christian's home at 324 Wine Street, George W. Fields residence at 124 Wine Street,…
Output Formats

atom, dcmes-xml, json, omeka-xml, rss2